15
$1,249,000 Sale
Listed 5 hours ago
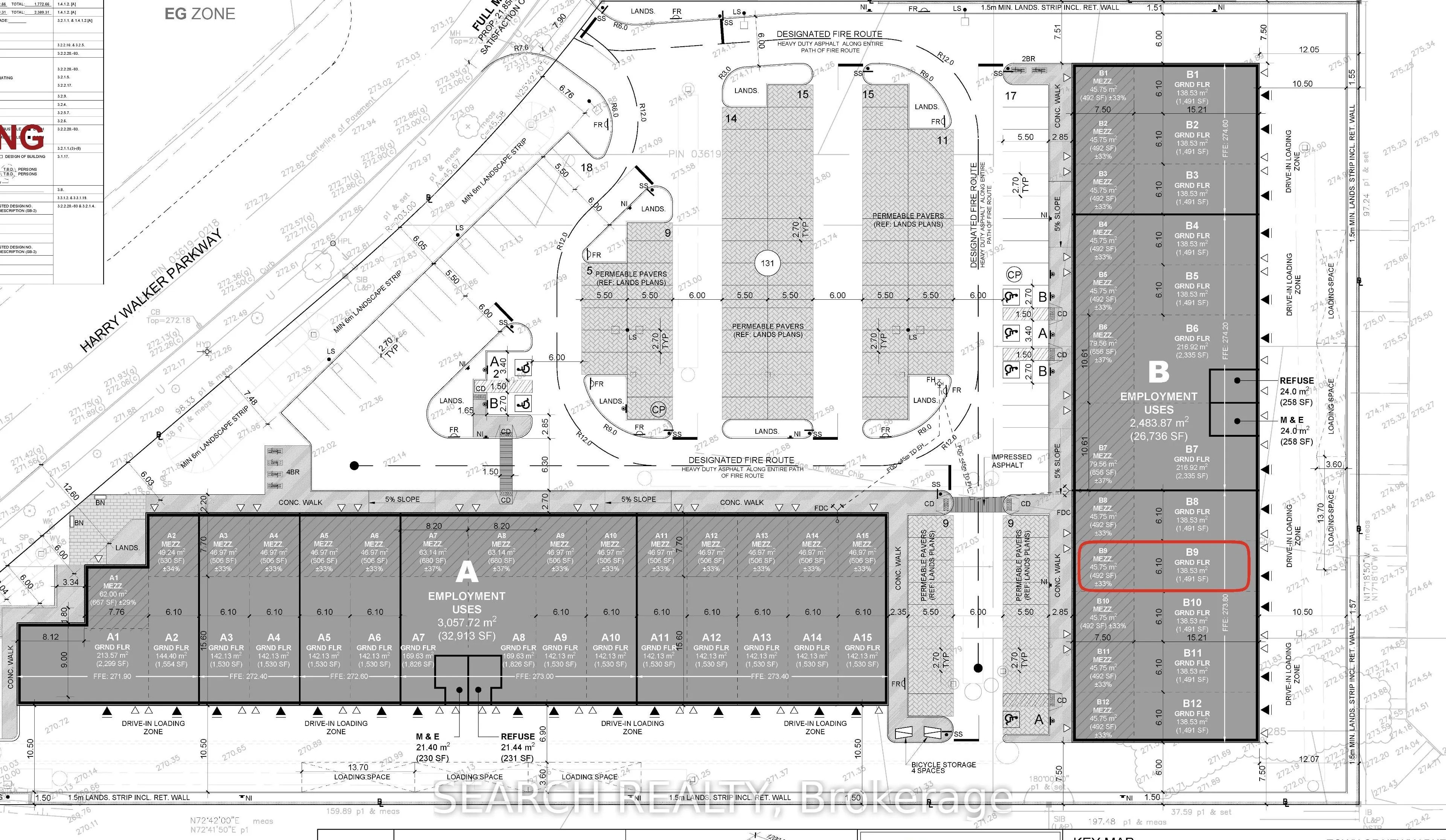
455 Harry Walker Parkway S, #24
· 0
· 1
· -
· -
Listing History
Buy/Sell/Terminated/Expired listing history for 455 Harry Walker Parkway S, #24
Key Facts
Key facts for 455 Harry Walker Parkway S, #24
Property Type
Commercial
Parking
Outside/Surface
MLS #
N12472801
Size
-
Basement
-
Listed on
2025-10-20
Lot size
0 x 0.0
Tax
$7,000 /yr
Days on Market
1
Approximate Age
-
Maintenance Fee
-
Description
New Industrial Condo in Prime Newmarket Location! Welcome to ELM Business Centre, Newmarket's newest state-of-the-art industrial development. Ideally situated just off Highway 404 at Mulock Drive, this brand-new industrial condo offers exceptional functionality and modern design. Features include la...rge windows for natural light, a structural steel mezzanine, and a 12' x 14' drive-in grade-level door. Ample on-site parking, excellent signage exposure, and proximity to major amenities make this an outstanding opportunity to own in Newmarket's rapidly growing industrial hub. See attachment for a detailed list of upgrades.
Similar Properties (No results)
Courtesy of: SEARCH REALTY